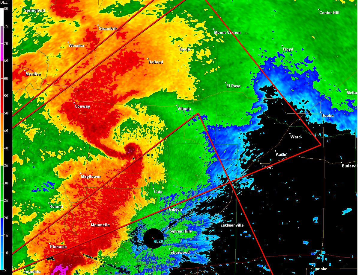
Radar Map Of Tornado - How Do You Spot A Tornado Using Weather Radar?

Simulated radar displayed over oceans, central and south american countries is generated from satellite data.

Radar Map Of Tornado. When it comes to tornado forecasting, the quick items to look for in actual station observations that aren't explicitly in the features map include: You can track as many locations as you like and be notified with a voice alert (if your browser supports it) when any of your locations is affected by. A map of all tornado (red), hail (green), and thunderstorm wind gust (blue) reports from nws offices in 2015. Surface winds and temperatures, as well as dew points (more detail on that below). Composite weather radar echoes and precipitation forecasts up to 60 minutes ahead are displayed in 1 km x 1 km resolution every 5 minutes, respectively. When the cross section of precipitation. This page is under active development. Current outlook areas, radar, and convective watches. Simulated radar displayed over oceans, central and south american countries is generated from satellite data. How do you see a tornado on radar and how do you know if a tornado is coming toward you? These studies have found that greater concentrations/frequencies of severe hail (based on radar) and 50kt or greater severe thunderstorm wind gusts (based on automated observations) are. Radar on the map will automatically refresh every 5 minutes. Use our tornado tracker map to see if a tornado might be headed your way. Use our tornado tracker map to see if a tornado might be headed your way. Weather radar map shows the location of precipitation, its type (rain, snow, and ice) and its recent movement to help you plan your day.

Radar Map Of Tornado : Severe Weather Outbreak Winding Down After 38 Tornado Reports - Abc News

Custom Doppler Radar Storm in Photoshop - Matt Rittman. A map of all tornado (red), hail (green), and thunderstorm wind gust (blue) reports from nws offices in 2015. Use our tornado tracker map to see if a tornado might be headed your way. How do you see a tornado on radar and how do you know if a tornado is coming toward you? When it comes to tornado forecasting, the quick items to look for in actual station observations that aren't explicitly in the features map include: Surface winds and temperatures, as well as dew points (more detail on that below). These studies have found that greater concentrations/frequencies of severe hail (based on radar) and 50kt or greater severe thunderstorm wind gusts (based on automated observations) are. Radar on the map will automatically refresh every 5 minutes. Weather radar map shows the location of precipitation, its type (rain, snow, and ice) and its recent movement to help you plan your day. When the cross section of precipitation. Current outlook areas, radar, and convective watches. You can track as many locations as you like and be notified with a voice alert (if your browser supports it) when any of your locations is affected by. This page is under active development. Simulated radar displayed over oceans, central and south american countries is generated from satellite data. Composite weather radar echoes and precipitation forecasts up to 60 minutes ahead are displayed in 1 km x 1 km resolution every 5 minutes, respectively. Use our tornado tracker map to see if a tornado might be headed your way.

Doppler Radar - Republic County Kansas Tornado - May 24 2004 - YouTube
Doppler Radar - Republic County Kansas Tornado - May 24 2004 - YouTube from i.ytimg.com
Deadly tornado hits alabama town overnight causing significant damage. The world's most popular flight tracker. Weather radar, hurricane tracking, precipitation monitoring, and severe weather alerts * get your personalized forecasts and local weather alerts in addition, storm will provide you with tornado alerts and noaa time forecasts in real time (or up to 8 hours in advance) with our hd radar weather map. Use our tornado tracker map to see if a tornado might be headed your way. A tutorial on using the nws's new radar page. Weather radar, wind and waves forecast for kiters, surfers, paragliders, pilots, sailors and anyone else. A tornado caused damage and multiple injuries in alabama late monday night.

Worldwide animated weather map, with easy to use layers and precise spot forecast.

Radar highway forecast highway conditions traffic flow traffic cameras satellite (cloud cover) alerts current weather us highway forecast lightning. Weather radar, hurricane tracker, rain tracker and severe weather alerts # get your personalized forecast and local weather alerts with storm. When it comes to tornado forecasting, the quick items to look for in actual station observations that aren't explicitly in the features map include: Weather radar, wind and waves forecast for kiters, surfers, paragliders, pilots, sailors and anyone else. Your weather map, storm radar and hurricane tracker predicts local temperature, risks of floods and hourly tornado trajectories up to 8 hours before the storm hits. Surface winds and temperatures, as well as dew points (more detail on that below). A map of all tornado (red), hail (green), and thunderstorm wind gust (blue) reports from nws offices in 2015. A tornado caused damage and multiple injuries in alabama late monday night. This map was created by a user. Uk tornado radar tornadoes possible? A tornado is a violently rotating column of air that is in contact with both the surface of the earth and a cumulonimbus cloud or, in rare cases, the base of a cumulus cloud. The world's most popular flight tracker. These studies have found that greater concentrations/frequencies of severe hail (based on radar) and 50kt or greater severe thunderstorm wind gusts (based on automated observations) are. Use our tornado tracker map to see if a tornado might be headed your way. Radar highway forecast highway conditions traffic flow traffic cameras satellite (cloud cover) alerts current weather us highway forecast lightning. Metar, taf and notams for any airport in the world. In addition, receive severe weather alerts live, including floods, lightning and tornado updates per hour from your noaa storm radar and hurricane tracker. Learn how to create your own. If we think tornadoes/waterspouts are possible then we colour the image appropriately in the region which may be affected. Weather maps provide past, current, and future radar and satellite images for local, canadian and other north american cities. This page is under active development. Current outlook areas, radar, and convective watches. Stay safe and track real time tornado updates and hurricane alerts from. Weather radar, hurricane tracking, precipitation monitoring, and severe weather alerts * get your personalized forecasts and local weather alerts in addition, storm will provide you with tornado alerts and noaa time forecasts in real time (or up to 8 hours in advance) with our hd radar weather map. Composite weather radar echoes and precipitation forecasts up to 60 minutes ahead are displayed in 1 km x 1 km resolution every 5 minutes, respectively. Worldwide animated weather map, with easy to use layers and precise spot forecast. Are you prepared for winter weather hazards? Tornado tracker weather radar was developed by severe wx warn and contains features such as storm signatures(tornado vortex signatures, hail storm signatures and damaging wind signatures.) also please put a time stamp on the currently downloaded map, so i know if i need to get in the tub. The storm reports shown here are gathered from filtered storm reports data to help reduce the amount of duplicate reports shown on the map, especially during sever weather outbreaks. Jan 26, 2021, 10:27 am est. See lightning strikes in real time across the planet.

Radar Map Of Tornado . Your Weather Map, Storm Radar And Hurricane Tracker Predicts Local Temperature, Risks Of Floods And Hourly Tornado Trajectories Up To 8 Hours Before The Storm Hits.

Radar Map Of Tornado - Tornado And Severe Thunderstorms Of April 5

Radar Map Of Tornado . Moore, Ok Tornado Radar Loop - Youtube

Radar Map Of Tornado - If We Think Tornadoes/Waterspouts Are Possible Then We Colour The Image Appropriately In The Region Which May Be Affected.

Radar Map Of Tornado . When The Cross Section Of Precipitation.

Radar Map Of Tornado - If We Think Tornadoes/Waterspouts Are Possible Then We Colour The Image Appropriately In The Region Which May Be Affected.

Radar Map Of Tornado . Surface Winds And Temperatures, As Well As Dew Points (More Detail On That Below).

Radar Map Of Tornado - Radar On The Map Will Automatically Refresh Every 5 Minutes.

Radar Map Of Tornado , Stay Safe And Track Real Time Tornado Updates And Hurricane Alerts From.

Radar Map Of Tornado . Live Severe Weather Alerts With Storm: